目に見えない細部のシミまで数値で捉える肌診断機であなたのシミ治療の最適解を見つけます。

無料カウンセリングを申し込む

シミ取りならハートライフクリニックにお任せください!

ハートライフクリニックの 3つの特徴
あなたのシミの種類に合わせた 最適な施術をご提案します
無料カウンセリングを申し込む
ハートライフ式的確アプローチのシミ治療
ピコレーザー
シミ取り放題
「美肌」のお悩みは私たちにお任せください。

あなたの シミの種類は?

肝斑

肝斑

そばかす

そばかす

SK

SK

ADM

ADM

肝斑
そばかす
SK
ADM

充実したアフターケア

  • STEP.01

    ご相談・カウンセリング

    ご相談・カウンセリング

    完全予約制のため、おひとりお一人の為、十分な時間を確保しております。
    美容クリニックで不安の多い「高い、怖い」を払拭できるよう、当院では、永遠の美を願うすべての女性のために、「安心明朗会計」をお約束します。

  • STEP.02

    施術

    施術

    お問合せ時にお申込みいただければカウンセリングと同時に施術も可能です。
    予約状況や施術によっては同時に施術できない場合もございますのでご了承ください。

  • STEP.03

    アフターケア

    アフターケア

    治療後のケアによってお肌は悪化してしまう可能性もあるため、術後は、ご自宅のケア方法などを含めたアフターケアを行っております。
    また、気になることはお気軽に相談していただければ適切なケア方法等のアフターフォローをしっかりさせていただきます!

  • STEP.04

    3か月ごとの定期健診

    3か月ごとの定期健診

    治療前はもちろんの事、治療期間中、治療完了後の中で約3か月ごとにお肌の経過を最新肌診断機で分析いたします。
    常に最新のお肌の状態を確認することで、効率よく、的確に患者様の臨むお肌の状態に仕上げることができます。

ハートライフならどんなシミでも徹底除去を目指せます!

8種類もある! VISIA Evolutionの機能

  • 1.シミ解析機能

    1.シミ解析機能

    肉眼では確認できないシミや、まだ皮膚表面に表れていない隠れシミを撮影できる機能です。隠れシミに対する治療やケアを早期に行えば、目立つシミが肌表面に表れにくくなります。

  • 2.UVシミ/隠れシミ(茶色シミ)解析機能

    UVシミ/隠れシミ(茶色シミ)解析機能

    撮影したUV写真から「隠れシミ」を解析します。

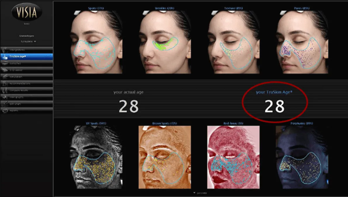
  • 3.皮膚年齢解析(tru skin age)

    皮膚年齢解析

    皮膚年齢解析とは、「シミ・しわ・色むら・毛穴・隠れシミ・ポルフィリン・赤み・メラニンの個数」の状態をスコアとして算出し、同年代の平均データと比較することで、皮膚年齢を客観的に算出する機能です。

  • 4.画像の同時比較機能

    画像の同時比較機能

    治療前と治療後のお写真を細かく正確に比較できる優れた機能です。

  • 5.赤ら顔解析機能

    赤ら顔解析機能

    「赤い色むら」「ほおの赤み」 「小鼻周りの赤み」「赤く目立っている毛穴」などの赤みの状態を解析します。

  • 6.しわ解析機能

    しわ解析機能

    しわには「細い線形で、周辺の皮膚の色より暗い」という特徴があります。これをもとに、皮膚を解析するのが本機能です。

  • 7.毛穴解析機能

    毛穴解析機能

    毛穴の形が周辺のお肌よりもへこんでいることで生じる陰影を利用して、毛穴を解析します。

  • 8.ポルフィリン解析機能

    ポルフィリン解析機能

    ポルフィリンとは、ニキビの原因であるアクネ菌の排泄物です。通常は無害ですが、紫外線を吸収すると活性酸素を生み出し、ニキビを悪化させたり、ニキビ跡(色素沈着)やシミを引き起こしたりします。

無料カウンセリングを申し込む

FAQ

よくあるご質問

無料カウンセリングを申し込む
1回の治療でシミはとれますか。
診察しなければ明確な回答はできませんが、シミの種類によっては、1回の治療でも目に見えて剥がれます。しかし、シミの特性上、剥がれたあとも時間の経過で同じ部位にシミが浮き上がってくることもございます。
無料カウンセリングを申し込む
痛みはありますか。
痛みの程度は、治療の種類によって変わります。ライムライトでは、輪ゴムではじかれたような感覚があり麻酔は必要ない程度です。レーザー治療では、シミ部分にクリーム麻酔を塗ることで無痛にすることが可能です。
無料カウンセリングを申し込む
治療をした当日は、何か気をつけることはありますか。
ライムライトでは、治療直後から日常生活に戻ることが可能です。
レーザー治療の場合は塗り薬と茶色テープで照射部分の保護をし、1週間程はかさぶたがはがれないようにしてください。
無料カウンセリングを申し込む
肌が弱いのですが、シミ治療をうけることはできますか。
基本的には問題はありません。皮膚の状態に合せたシミ治療を行うことが出来ますので、まずは医師にご相談ください。内服薬や外用薬からシミ治療をスタートすることも可能です。
ハートライフならどんなシミでも徹底除去を目指せます!
ハートライフならどんなシミでも徹底除去を目指せます!
無料カウンセリングを申し込む